2020月8月
2020年8月31日(月) 新型コロナウイルスとハリケーン後の市の混乱

ハリケーン「ローラ」の爪痕は残るものの日常を取り戻しつつあるここラフィエットですが、先日の警官によるアフリカ系アメリカ人射殺事件の余波が良からぬ方向にいっています。一昨日平和的に抗議活動が再開された、とブログで書きましたが、そうではなかったようです。

今日大学からメールが来て、大学内で行われた抗議活動参加者に、銃器をもって武装した参加者がいたようです。

Once a refuge after hurricanes, Lafayette suspends shelter plans over protest's "bad actors"

学内は「Gun Free(銃持ち込み禁止)」ですからこれに違反していることになり、捜査をしているとのことでした。これに対する大学および市長の対応は問題ないかと思いますが、一部の人から「平和的に抗議している人をあぶりだそうとしている」といったような誤解が出回っているようです。

まぁ初期対応に問題がなかったわけではないので、火中の人は大変です。

さらに今レイクチャールズなどからこちらに避難している方々がいらっしゃるのですが、新型コロナウイルスがここで収束していないため、教会など非営利団体が蜜状態を作るような避難所の提供を差し止める判断を市長がしました。ただその説明の中に「抗議活動が落ち着いていないから」といったことも書いてあったため、ただ単に「避難民を受け入れない」ような感じにとられているようなのです。

普通に読めばそうは読めないんですけどね。

Fallout continues following LCG's calls for churches to pause opening shelters in the city

これに対してウイルス感染が広がっても今は人道的な配慮を、とか制限を緩和せよ、などの声があがり、混乱に拍車をかけています。ルイジアナは人口比で全米最悪の感染率で「制限を厳しく」とか「対面授業は時期尚早」と言っていたリベラル派の方々が、こんな風に揚げ足を取る形で抗議している姿を見ていると、どっちも大したことないな、と思え非常に心配になります。

醜いです。

2020年8月30日(日) トレジョで新しくみかけた、と思うもの

ハリケーン接近・通過中は仕事が出来る環境にあっても集中できず、週末に大量の残務が残ることに。このほとんどが週明けで、昨日、今日と必死にやるはめに。週の半ばにも締め切りのものがあるので、これが終わってもしばらく気が抜けません。

特にネタがないので、いつだったかトレーダージョーズに久しぶりに行って、見たもの、購入したものを書きます。新型コロナウイルスが流行し3月外出規制が出て以来、そのスーパーに買い出しに行ったのは2回ぐらいです。

地元の街にないのでめっきり行く機会が減りました。従って、とうの昔に出された商品を今さら「初めてみた!」と言っていることもあるかも知れませんが、ご了承下さい。

1つ目、ポテトチップス

ポテトチップス

この色の缶を見たことがなく、買ってみました。すでに食べましたが、日本だとチップスターのポテトチップス、という味で美味しかったです。

アメリカだと普通はプリングルズですけどね。値段的には同価格帯だと思います。ちなみにProduct of Canadaとなっていました。

2つ目、ケチャップ味のジャガビー

ケチャップ味のジャガビー

これもお芋ベースのスナックです。これは去年も見かけましたが途中で消え、お店の人に聞くと季節ものだから来年まで待って、という品物でした。

ハロウィーン前に出てくるのかも知れません。実はこのスナック、自分にとっては大好きな味つけです。アメリカ滞在長くなって、フレンチフライにも普通にケチャップつけて食べるようになったからかな。

3つ目、ふりかけ

ふりかけ

これは初めて見ました。以前からあったのでしょうか?

近くにアジア食材店がある方なら別にそこで買えばいいのですが、個人的にはトレーダージョーズにあるからいいんです。ただどこで作っているのかなとみてみると、、、

ふりかけの裏表示

「Product of Japan」となっていました。どこまで日本製かわかりませんが、こう書かれていると安心して購入してみたくなります。

4つ目、炭酸入り緑茶

炭酸入り緑茶<

正直に言うと、アメリカで売られている緑茶飲料はかなり微妙です。今回は炭酸が入っているとのこと。

私はスルーすることにしました。どなたか挑戦された方がいれば感想をお伝えください。

5つ目、麦茶

麦茶

包装にすでに「韓国の」と書いてあるので日本産ではなさそうですが、麦茶の味に違いはないのでは?と期待しています。普段家では麦茶パックで麦茶を作ってるので今すぐには必要ないですが、外出先でちょっと飲みたいとき、持ち歩きたいならペットボトルが便利です。

ただこれは冷やして売って欲しい、と思うのは私のわがままでしょうか。

以上先日久しぶりにトレジョに訪れた時に見かけた、「自分的には新しい、もしくは久しぶり」の商品でした。

2020年8月29日(土) 抗議活動の一環としてBBQ→逮捕!?

今日も時折雨が降りました。まだ「ローラ」さんの影響と思われます。この辺りだとまだ洪水の可能性があるらしく、警報は出たままです。

恐らく「ローラ」が北の方に行って降らせた雨が、川を通じて結局戻ってきて河口に流れ込みこの辺りの水位が時間差であがるみたいです。川の洪水警報は来週の火曜日まで今のところ発令されています。

さて大統領がレイクチャールズを訪問したようです。

President Trump arrives in Louisiana

選挙戦や他のことで忙しいかと思うので、お疲れ様だと思います。援助することに署名したんですから、現状視察は必要なんでしょう。

ただ上の動画を見るとやっぱりマスクしていないですね(笑)。

嵐が去り、先日起きた事件(ルイジアナ・ラフィエットで起きた警官による被疑者射殺事件)に対して抗議活動が再開されています。ただウィスコンシン州でも同日に同様な事件が起き、さらにそこは大統領選で激戦区のためか注目はそちらに集まっています。

折角レイクチャールズに来たのなら、車で1時間、飛行機なら十数分のラフィエットに必要なら寄れたと思いますが。

Trump to travel to Kenosha, Wisconsin, on Tuesday

ラフィエットの場合、事件が起きた翌日はデモ隊がお店を壊して侵入、略奪があったようですが、今日は平和的な抗議だったようです。捕まったのは市長自宅前でBBQして抗議した人だけという報道がありました。

Small protest at Lafayette Mayor-President's home


市長に求められたとはいえ、この女性を逮捕する必要があったのかは私にはわかりかねます。十分に平和的だと思いますけど。

2020年8月28日(金) レイクチャールズの状況を見て思ふこと

今日も時折雨が降りましたが、時間がたてば収まり大したことはありませんでした。ニュースを見ると高速道路のI-10がここラフィエット付近でも再開通し往来できるようになったようです。

I-10 East and West in Southwest Louisiana has reopened

よく読むとレイクチャールズの湖を渡る橋も通過可能のようです。点検が終わったんでしょうかね。

コロナ騒動が終わってないので今テキサス方面に行く用事はないですが、元々その橋は耐久性の問題で新しくかけなおす必要があることが指摘されていました。さらにハリケーンが来たらどうなるかと思っていました。

ラフィエット市内でもまだ停電から復旧されていない地域が残っており、レイクチャールズやキャメロンならなおさらです。そのために自家発電機を使っているようですが、室内で使ったため一酸化中毒で亡くなったという例が出ているようです。

ハリケーン通過中でもTVで「室内やガレージで使わないで」と言っていましたが、折角災害から逃れたのに事故が起きているのは悲しいことです。

Family of 5 die from carbon monoxide poisoning in Lake Charles

レイクチャールズの状況を見ていると、私がミシシッピ州でハリケーン・カトリーナに被災したときを思い出します。木々の倒れ方や建物の破壊状況もあのような感じでした。

夜間外出禁止はかなり続きましたし、水も電気もしばらくありませんでした。水が戻ってきても、数日間止まったせいで水道管にカビが蔓延り、飲めるまでさらに数週間が必要でした。

せめて復興中治安は維持され、略奪が起きないことを祈っています。またこちらも落ち着いたら私もどうやって支援出来るか検討するつもりでいます。

2020年8月27日(木) ハリケーン「ローラ」上陸状況@ルイジアナ

昨日からの続きです。電気が通っている間、適宜簡潔に更新を予定しています。

  • 12:07 am - ニュースですでにラフィエット群でも停電した地域があることを知る。外は雨と風、そして時おり雷の音がうるさく、眠ろうとしても気になって眠れなそう。
8/26/2020, 11:56:26 PM現在、1,645世帯が停電中

停電マップ
  • 12:13 am - さらなるトルネード警報が出る。12:45 amまで有効。
  • 12:45 am - さらなるトルネード警報が出る。1:30 amまで延長。
  • 1:11 am - ハリケーン「ローラ」が正式に上陸。ルイジアナ州のキャメロン付近だそうです。最大風速は150 mphを保ったままカテゴリー4で上陸とのこと。
8/27/2020, 1:00 am(セントラル時間)現在の「ローラ」の位置

ハリケーン「ローラ」の位置

  • 2:00 am - ラフィエットで18, 261世帯が停電中
2:13 am - TVの画面から、ドップラーレーダーによる雨雲の状況

雨雲の状況

  • 3:53 am - 自分の部屋では何回か瞬間的に停電しては復活をしている状態。停電マップを見るとラフィエットで31, 209世帯が停電中。
4 am - 持続風速が120mphとなりハリケーンのカテゴリー的には3に落ちた模様。しかし風や雨は相変わらず強く、ここでは違いがわからず。断続的に停電が起きるが、機械が自分でリブートをかけるのか、数分後復活している。頑張って耐えて欲しい。

ハリケーン「ローラ」の状態

結局6時前まで暴風雨がすごく、トルネード警報が出ないか気を付けていたので、就寝はその後でした。
  • 11 am すぎ - 起きて空を見ると多少の青空が見えた。ハリケーンは「目」が消えてカテゴリー1まで弱まっていた。場所はまだルイジアナの北部にいた。
  • 12:00 pm - 時折強い風や雨がぱらつくも、昨晩のような雷を伴った強い暴風雨ということはない。しばらくローカルTVを見て被害状況を知る。ここから少し南のDelcambreやErathでは洪水が起きているようだ。ラフィエット市内は空港近くのビーバー・パークで洪水が起きているものの、道路が冠水している所は多くない模様。
  • 4:00 pmすぎ、ハリケーン通過後初めて外に出る。屋根の瓦のようなものが剥がれたり、排水管がかけたり、ぶらぶらしている所があったが、機能不全になるほどではないように見えた。アパート横の池を見てみると、水位は多少上がっているものの、洪水を起こすほどではない。
手前に見えている水草ラインが普段の水位、右手前の陸に迫っているので幾分水が多いことがわかる

近所の池の様子

5:00 pmすぎ、責任者としてサンプルを保存している冷凍庫や冷蔵庫などの稼働状況を確認しに、大学へ。どうやら問題なさそう。

自分のデスクトップPCを確認すると落ちていなかったので、この建物は停電が起きなかった模様。街は避難通路に指定されている道路は綺麗になっているが、側道は木々が倒れたり、ごみがまだまだ散乱していた。

ハリケーンが直撃したルイジアナ州キャメロンの空からの映像(8/27/2020)


ハリケーン「ローラ」が通過したレイクチャールズの空からの映像(8/27/2020)


  • 7:30 pm - 昨日同様、8時以降夜間外出禁止令が出たので、家に入る。
11:10 pm - ロイターの動画(日本語)で面白いものを見つけました。元はYahoo Japanの動画アクセスランキングで国際部門3位だったため、目に留まりました。

https://reut.rs/3jqhZNj

動画が始まってから33秒から45秒の間で「レイクチャールズでは22階建てのビルの窓が吹き飛ばされた」と紹介されていますが、背景の動画はレイクチャールズではなく、ここラフィエットのダウンタウンの状況を映したものでした。

どこで取り違えたんでしょうね。

2020年8月26日(水) ハリケーン「ローラ」接近@ルイジアナ

今日からしばらく簡潔に時系列で。

  • 9:00 am - ネットを確認すると「ローラ」はカテゴリー4まで勢力を増すらしい。
  • 11:00 am - Costcoにガソリンを入れに行った。外は風が強くなってきたが、雨は降っていない。電気会社からの電気が落ちても顧客にガソリンを提供できるように、自前でガソリンスタンドに発電機を用意していた。素晴らしい。
  • 2:30 pm - 雨が少しずつ降ってきましたが、まだ小降りです。
  • 3:00 pm - 東部時間午後4時の情報が出る。進路に大きな変更はなさそう。
8/26/2020午後4時(東時間)のローラ予想進路

ローラ予想進路

ハリケーンはこの時間でカテゴリー4、持続している風速は140 mph、中心気圧は986ミリバール、北西に16 mph(時速25~6キロぐらい)の速さで移動中とのこと。

一番気になる高潮ですが、場所によってはI-10付近まで約30マイル北上する可能性があるとのこと。それだと私が住む地域も入ってしまいます。

Why coastal communities should fear storm surge

どのくらい浸かるはわかりませんが、どの程度で高潮でどれだけ水位があがるか参考動画があり、びっくりしています。2階も浸かりかねない。。。
  • 8:00 pm - 夜間外出禁止が始まりました。周りが静かになってきました。
  • 8:30 pm - ハリケーン「ローラ」は最大瞬間風速が150 mphに達し、カテゴリー5の勢力にわずか7 mphしか足りない大型ハリケーンになったとのこと。天気予報官によるとこのレベルになると4も5も変わらないとのこと。
  • 9:00 pm - 逐一報告しようにもここ数時間は特に変化なし。時折風が強く吹いたり、雨がぱらつきましたが、損害を与えるようなものではなかったです。一方で地元のTV局はハリケーン接近に伴う特別放送に入っています。
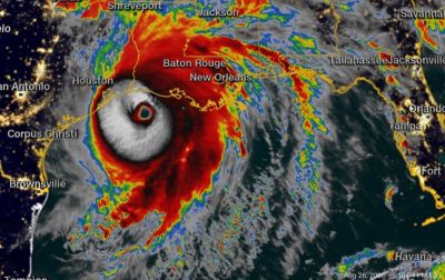
8/26、中部時間9:00 pm現在のハリケーン「ローラ」の位置

ハリケーン「ローラ」の位置

カテゴリー4、持続している風速150 mph、中心気圧は937ミリバールで北北西に時速15マイルで移動中とのこと。

8/26、中部時間9:00 pm現在のハリケーン「ローラ」の衛星写真、「目」がはっきり確認できる

ハリケーン「ローラ」の衛星写真

  • 9:30 pm - I-10西行きがバトンルージュからラフィエットを結ぶBasin Bridgeからテキサスの州境まで閉鎖していることをニュースで知りました。
  • 9:49 pm - 外でハリケーン独特の「ドーン」という雷のような音が聞こえ始めました。
  • 11:07 pm - 部屋の中でも音が聞こえるほど強い雨が降り始めました。風を切る音がすごくなっています。
  • 11:42 pm - 今回のハリケーン接近で初めてトルネード警報が発令。12:15 amまで有効。

2020年8月25日(火) ハリケーン「ローラ」上陸に向けて準備

ハリケーン「ローラ」は多少進路を西よりにしたものの、勢力をまして北上しているようです。

Laura continues to intensify, 120 mph winds expected at landfall

このサイトの図では分かりづらいので、他のサイトの図を引用します。

カテゴリー3で上陸の予想

上陸の予想

上の図を拡大して、どこを通るから確認すると以下のようになります。

予想される進路からは少しだけ外れた

予想される進路

それでも街はハリケーンの右側となので暴風とともに雨量が非常に心配です。知事も洪水を心配しています。

Louisiana governor warns of "significant flooding"

大学ですが、水曜日と木曜日の授業をすべてキャンセルしました。遠隔授業をやろうにも恐らく停電が起きる地域が出るので、出来ないと判断したのかと思います。

妥当な判断だと思います。私が住む地域は自主的ながら避難勧告が出ました。

私も最初は検討しましたが直撃ではなさそうなこと、そして都合よく頼まれたとは言え大学のemergency personnelなのでむやみに現場を離れられないこと、から残ることにしました。

下図を見る限り、辛うじてハリケーン・ウオッチ地域から外れている

ハリケーン・ウオッチ地域

私が住むラフィエット郡では夜間外出禁止令が発令されました。取り急ぎ明日の夜8時から木曜日の朝6時までです。夜半に上陸予定なので、誰も出る人はいないと思いますけどね。

Curfews begin in Acadiana due to Hurricane Laura

うちとしてはバルコニーの植物を中に入れたり、飲料水や数日の食べものを確保したりしました。充電器を充電し、乾電池も確保して懐中電灯を使えるようにしました。

冷房が止まると暑いので、うちわも出しておきました。明日はハリケーン接近に伴いいつも通り中継を行う予定ですが、もし途切れたら停電したとご理解下さい。

2020年8月24日(月) ハリケーン「マルコ」消えた?

大学はハリケーン「マルコ」対策のため午後から明日まで閉鎖、授業は遠隔のみとなりました。今までだと全て休講だったのですが、こういう時は遠隔授業をしていてよかったと大学トップは思ったに違いありません。

ただその「マルコ」、いつの間にか空中分解してしまったようです。いわゆる台風の目が消えてしまいました。

Storm Watch: Marco Makes Landfall, Laura Predicted To Be Category 2 Hurricane In Gulf

熱帯暴風雨の「マルコ」はミシシッピ川河口に上陸したものの、南ルイジアナに近づくにつれて風速と勢力を失った、となっています。私自身、外に晴れ間が広がっている間はオフィスで仕事していましたが、結局夜になっても雨は降りませんでした。

ということで本番は次のハリケーン「ローラ」のようです。今日現在では、大学側からどのように対応するか出ていませんが、いまだここラフィエットが予想進路に入っているので予断を許さない状況になっています。

通過は水曜日の夜半?8/24/2020現在の予想進路

ローラ予想進路

ここラフィエットも「ハリケーン・ウオッチ」となっています。

ラフィエット付近の予想

明日に準備出来ることがあれば、しておこうと思います。

2020年8月23日(日) 2つの熱帯暴風雨が来週ルイジアナを直撃しそう

災難というのは続くものです。今度はお天気ですが、2つの熱帯暴風雨(マルコとローラ)が1週間のうちに2回もルイジアナに上陸しそうなのです。

すでにマルコは中心の気圧が下がりハリケーン(カテゴリー1)に格上げされ、ローラも今後カテゴリー3のハリケーンになりうるとのこと。市長から自主的な避難勧告が出ましたが、学部ではこういうときに外人は都合よく実験動物や冷凍庫の管理担当を頼まれました。

つまり停電などあれば大学に来て対応しないと行けない、ということです。

Lafayette officials encourage voluntary evacuations

ハリケーン「Marco(マルコ)」の8/23/20中部時間で午後4時現在の予想進路

マルコの予想進路

熱帯暴風雨「Laura(ローラ)」の8/23/20中部時間で午後4時現在の予想進路

ローラの予想進路

絵を見る限り、強烈な右フックのあと左フックを浴びてノックアウトされそう。今のところマルコが火曜日、ローラが水曜日から木曜日に通過でしょうか。

ハリケーンの予定

予想される天候はマルコが月曜夜から火曜日にかけて2~4インチの雨、ローラが洪水を起こしかねない5~15インチの雨により強い風、トルネードの可能性も、と書いてあります。ローラの方が海からあまり陸を通らず直撃するし、風も強い予報だからでしょうか。

毎度のことですが、少しでも予報が外れて被害が少ないことを祈るのみです。今日買い出しに行くと多くの人が同様に水などを多く買っていました。

新型コロナウイルス感染といい、熱帯暴風雨2連発としい、ルイジアナは今年いいことないです。いっそウイルスも吹き飛ばしてくれるといいのですが。

2020年8月22日(土) ルイジアナ・ラフィエットで起きた警官による被疑者射殺事件

昨日ここルイジアナ州ラフィエットで起きた警官による被疑者射殺事件が、全国紙に掲載されるような話に発展しました。例えばニューヨークタイムズで記事になっています。

Protest Erupts Over Fatal Police Shooting of Black

簡単に話すとガソリンスタンドで(目撃者によると刃物を持った)被疑者が警官のいう事を聞かずに逃げ、中に客がいるスタンド内のコンビニに近づいたので警察が発砲、結果その被疑者は亡くなった、という事件です。話が大きくなるのは被疑者がアフリカ系アメリカ人だから、というのは言うまでもありません。

現場の目撃者がこの様子を携帯で撮っていたらしく、その動画がすぐに拡散されました。今でも被疑者の弁護人がツイッターでその動画を公開しています。

発砲する音が聞こえますので、それに強い不快感を持つ方は閲覧注意です。


これに対して今日抗議の集会が開かれました。夜に警察署前で行われたものは最初平和に抗議していたものの、だんだんエスカレートして火を使い始めたらしく、警察側は閃光弾を発射して対抗、散会させた、ということが起きたようです。

Police fire flash bangs at protestors outside police substation on Moss Street

夜中に緊急で市長や警察幹部が記者会見し事態を収拾する努力をしたようですが、ミネアポリスやアトランタで起きた事件後同様、しばらく抗議が続くことが予想されます。

状態を見守って、また新しいことがあればまたここに記述する予定です。取り急ぎ今晩は報告まで。

2020年8月21日(金) 減量して数値改善し、医者に褒められた、の話

先週採血と採尿に行きましたが、その結果確認と簡単な触診を受けるためにここ数年お世話になっている医師の所に行きました。かなりいい年になったので多少お金を払っても健康管理が必須です。

正確に言えば何年か前に学校で行われた簡単な検査でひっかかって、あらためて医師による診断を受けるよう強く勧められたのが始まりでした。

結果を先に言うと、ここ数年で一番いい数値でした。まだひっかかっている項目があるのですが、それでも数値が大幅に改善されていました。

自分でもびっくりです。何が起きたのか、というと単純に体重減らすことに成功しました、ここ数か月で。

歳をとるにつれ代謝が自分の想像以上に低くなっているのに、食べている量があまり変わっていなかったのが恐らく原因です。コロナウイルスによる制限で外出する機会が減ったので運動量はむしろ減ったと思いますが、家にいる分食べる量を調整出来て、いい結果に繋がりました。

ただ最近はカロリー制限しても体重がほとんど減らなくなってきたので、今後は少しでも時間を見つけてもっと身体を動かそうかなと思っています。まだまだ活動制限は続きそうですが、まだ何か出来るはず。

すごく久しぶりに人に褒められて、調子に乗っています(笑)。

ちなみに病院ですが、受付後待合室ではほとんど待たず、すぐに中の個室に通されたので不安はありませんでした。ただそこで医師を待つ時間が予想より長かったですが、このようなご時世では文句は言えません。

そのような配慮に感謝しないといけません。

2020年8月20日(木) 大学が感染数を公表しないことに学生が声をあげた

このブログで散々大学に異議を唱えていたのですが、生徒も同感だったようです。

UL students call for transparency from administration on COVID-19 cases

(ULの学生が新型コロナウイルスの感染数について管理層に透明性を求めた)

このTV局が大学側の報道担当者に確認したところ、先週に学生が戻ってから少なくとも5人の新規感染者を確認している、ということです。だったらどこの学部で、どの建物を使っていたかぐらい情報があってもいいでしょうに。

大学のトップ層は要求に応じて他大学同様ダッシュボードを設置する、と約束したようですが、学生いわく「1週間も2週間も遅い。少なくとも授業開始時には準備すべきだった」と言っています。

ごもっともです。

また別な生徒は「どこかで感染者が出た場合メールで通知がある、と言ってたのにメールが来てない」と不満をこぼしているとのこと。確かに私もそのようなことをするという通知メールは来ましたが、少なくとも5人の感染が確認されたにも関わらず教員側にもその旨の通知は来てません。

今回の記事で知りました。偉い方がタスクチーム作った、と言いましたが誰が担当しているかは公表していないので、結局そんな組織ないに等しいんだと思います。

ウェブサイトにダッシュボードつけるぐらい1晩で出来ると思うけど、何でやらないんでしょうかね。たぶん今頃慌てて感染の報告が来ていないか、確認しているころだと思います(笑)。

2020年8月19日(水) 夢でいいから「ハッキントッシュ」が欲しい

今日ラボに行くと、知らない人たちが私のスペースを使っていました。詳細は割愛しますが、私は上に強く文句を言ったものの、うやむやに処理されました。

彼らがいなくなった後に自分で掃除をし、必要なところを消毒液で拭きました。しかしやるせなさ感は半端ないです。

アメリカというか外国に来るとわかりますが、性善説は全く通用しません。こちらの人は見返りがないと動かず、処罰がなければ改善しません。

刺さなければ刺されますので、強く出るしかありません。そういった意味で半沢直樹の世界はこちらだとドラマ内だけでなく、日常的に存在するかなぁ、と思います。

もっともこっちだと確証がなくても文句があれば騒ぐ人が大半ですけどね。

さて掲題の件、実は遠隔授業にした後、オンライン上の講義資料やテストを色々なOSからみて状況を確認しています。Windows、Mac OS、iOS、Chrome OSなど。

資料はpdfで配布してれば閲覧に問題ないかと思いますし、オンラインのテストも依存するのはOSではなくブラウザだと思うのですが、不思議な事象(恐らく半分以上は言い訳、嘘)が生徒から報告されるので検証する必要があるのです。

本来であれば大学のITがやればいいことだと思うのですが、4月頭に訴えていても全く対応してくれていないので、自分で出来る範囲でやることにしました。結局生徒にすぐに対応しないといけないのは現場ですから。

で、Windows、iOS、Chrome OSを載せた機器は自分で所有しているので確認出来ますが、Mac OSのそれがありません。今時アップルのPCもIntel CPUが載っているのだから、Intel CPUやRyzen CPUが載ったアップル製PCでなくてもMac OSが載るだろうと思って調べたら、物理的には載るようです。

https://hackintosh.com/

問題は法的にグレーとのこと。契約書にMac OSの使用にあたり「アップル製のPCに載せる」ことが条件と記載されているようなのです。

今時そんな理不尽な契約を飲まされてユーザは使わさせられていることに驚きました。そのために日本語だと「ハッキントッシュ」を自作して使っている人は「夢」を見ている、と記述しているようでした。なるほどです。

昔はアップルもOSをOEMで供与して、パイオニアなどが互換機出していましたけどね。私は当時化学専攻の大学院生だったので構造式を書いたり、3D分子構造モデルを回したりする必要があったので、あの頃はマックユーザーでした。

現在はマックを購入出来るほど金銭的に余裕がないので、この「ハッキントッシュ」を使う夢を見るにはどうすればいいか、「個人」で検討しようかなと考えています。ぱっと読んだ限りどうにかなりそうですし、問題解決のための試行錯誤はハードウェア、ソフトウエアの両面から勉強になりそうです。

2020年8月18日(火) ある州立大学の対面授業と遠隔授業の決定について

今日もオフィスに来ましたが、ある授業が対面式で行われていました。許可されていますし、比較的大きな教室で距離を保って行われていたので規則上問題はないです。

でも個人的には違和感を感じました。まぁ各教員の判断は尊重されるべきですので、これ以上のコメントは控えます。

それでも昨日ノースカロライナ大学で決定した事実は小さくないようです。学部長から「著名な大学であのような事態になったことは、うちの大学の決定にも少なからず影響を与える。プランBを考えておくように」というメールがありました。

この話は想定内ですが、うちの大学として確固たる方針はないんでしょうか、心配になります。

またCNNで申し訳ない(偏っている、という意味で)のですが、UNCの判断に噛みついています。

UNC fiasco reveals truth about reopening colleges

(UNCの大失敗は大学を再開することについての真実を明らかにしている)

理事長が言った「ウイルス拡散のスピードや規模に驚いている」というコメントは以前のジョージア州知事が言った「無症状者も感染を拡大させる危険性があるとは知らなかった」というコメントを連想させ、今更何を言う、ですが、今回はこれをスルーします。

また副学長が言った「学校を開けようとしたことに対し、謝罪するつもりはない」という発言にCNN記者は「(無理に開いたことに)問題があり、責任とってトップは辞職すべき」とも噛みついていますが、これもスルーします。どうせ政治やお金が絡んでいますから、彼らだけの判断だけではないでしょうから。

それより私は生物学者のCarl Bergstromさんの考え方に賛同します。抜粋します。

The situation at UNC should be a strong cautionary tale to any university planning to reopen without plans in place for aggressive entry testing and ongoing practice screening of faculty, staff, and students.
(UNCの状況は、教職員やスタッフ、学生がキャンパスに戻る際の積極的な検査と継続的で実用的なスクリーニングに対して代替案なしに大学再開を計画しているすべての大学に強い警告を発するものである)

どこかの大学はこれに当てはまります(笑)。自己報告によるアンケート提出だけが対策ですから。

また記者が最後に言っていますが、
Not only should our leaders be held accountable for what happens next, but right now they should also be fully transparent: publish plans with metrics and thresholds for how they'll decide when to abandon ship on in-person education.
(大学トップは次に何が起こるかについて責任を問われるべきであるだけでなく、今すぐにでも完全な透明性を示すべきである。対面教育をいつ放棄するかの決定について、基準と閾値のある計画を公表すべきである)

どこかの大学はこれも全くありません。そもそも現時点での数値も公表していませんからね。

闇です。

2020年8月17日(月) 今日から大学で授業が開始、生徒はキャンパスへ

今日から大学で授業が始まりました。私は担当の授業がなかったので午後から行きましたが、オフィスがある建物で通りがかった学生はマスクをしていました。

一人一人が賢く行動してくれることを祈っています。ただノースカロライナ大学チャッペルヒル校(UNC)は対面式で授業を始めた後、1週間で中止を決定しました。

UNC-Chapel Hill reverses plans for in-person classes after 130 students test positive for Covid-19

大学のCOVID-19ダッシュボードによると学内の感染率が13.6%に達し、職員も5人が感染したとのこと。今日の段階で177人が感染のため隔離され、349人が濃厚接触の疑いにより自宅待機だそうです。

また昨日の段階ですでに4つのクラスターが発生し、2つは大学寮、1つはアパート、もう1つはフラタニティのメンバー内で起きたそうです。キャンパスという性質柄、すべての場面でうまく迎えこむのは難しそうです。

突っ込みどころとしては、うちの場合郡での陽性率がすでにそれより高いですし、大学側は感染者数に対する情報を一般に全く共有していません。ダッシュボードも存在しません。むしろUNCの対応が羨ましいです。

そもそもここの州では大学で多少の感染者が出ても閉めることはなさそうです。なんせ人口比で感染者全米ワースト1、人口比での犠牲者も今日でロードアイランドを追い抜き全米5位にランクアップするような場所です。

それなのにあのペンス副大統領さんがわざわざ来州してくださって「学校を開け」と全米に演説したところですから、期待に応えないわけにはいきません。上院議員もあれだけよいしょして支持を表明しましたから、州のぺーぺー公務員は上の決定に従うまでです。

自分で自分の無事を祈ろうと思います。

2020年8月16日(日) Core 2 DuoのPCにLinux Mint 19.3を入れる

6月にRyzen 5 3600で自作PCを作ったことを書きました。

アメリカにてRyzen 5 3600でPCを作りました

ここに入れたWindows 10は使っていない古いPCに入っていたライセンスを利用して導入しました。つまり古いPCを使う場合、法律上別なOSで動かす必要がありました。

全く使っていないのでそのままでしたが、今日Linux Mint 19.3を入れてみました。このPCのスペックは以下の通りです。

  • CPU:Core 2 Duo P7350 / 2 GHz
  • メモリ:4GB
  • HDD:320GB
もっと詳細を知りたい方は以下のサイトを参照下さい。

HP Pavilion dv3510nr

元々はWindows Vistaが載っていたラップトップPCです。2023年の4月までサポートがある、というのでバージョンは19.3、ただし負担を減らすために今回は一番軽い64-bit版のXfceを入れました。

ダウンロードサイト

Editions for Linux Mint 19.3 "Tricia"

結論から言うとあっけないほど簡単に古いPCにLinux Mint 19.3 Xfceをインストール出来ました。日本語では以下のサイトに目を通しましたが、順番を追ってやるほどではなかったです。

Linux Mint 19 をインストールする方法 (Ubuntu / Cinnamon, MATE, Xfce)

簡単に言うと、ダウンロードしたISOファイルをDVDに焼き(空のUSBドライブがなかった)、そのDVDを古いPCに入れて起動、BIOS画面でHDDではなくDVDを先に読みこむようにすれば、残りはほぼ自動で完了しました。

今回HDDにあったWin 10は消すつもりでしたので、確認する分岐点としては[ディスクを削除して Linux Mint をインストール]を選択するところだけでした。OSは日本語を入れましたが、キーボードの配置はこちらのUSのものに選択出来ました。

Wifiも自分のネットワークIDを選びパスワードを入れただけですぐつながりました。とにかくあまりにも簡単でびっくりしました。

その後、ブラウザを開けてネットサーフィンをしましたが、記事を読んだりYoutubeを見るのは問題なかったです。OS立ち上げもHDDですが、遅いとは感じません。

以前ネットブックにLinux Mint入れましたが、使い勝手はこちらのがいいです。複数のソフトを立ち上げて作業をするような負荷をかけてはいませんが、オフィス用途なら実用に耐えうるレベルと思いました。

学生が本当にお金がなくてPCが買えない、というのなら型落ちPCを格安で買ってこれを入れるだけで十分だと思います。もっとも彼らは私よりはるかにいいスマホをもって、携帯会社と契約して通話、インターネットをしていますけどね。

明らかな矛盾です。

2020年8月15日(土) ホールフーズのティラミスが好き

8月15日、アメリカに居ますが黙祷しました。日本語で記事を読んでいますが、いまだに色々と考えることがあります。

その考えをここに記すことは控えますが、理不尽には立ち向かい続けることが必要と思います。うん、重い、やめましょう。

さてここ最近私の中で小さなブームがあります。この食べ物(デザート)です。

ティラミス

ティラミス

ホールフーズのそれが美味しくて、この大きなサイズを少しずつ食べるのがいいです。これより小さい一人分サイズも売っているのですが、大きなものを購入した方がお得かなと思っているので、大きいのを買っています。

しかしこの大きいサイズ、毎日はありません。従ってお店行って運が良ければ購入できる、というものです。

今日は閉店間際に行きました。デザートコーナーで見かけただけでなくさらにセールになっていて心が躍りました。アマゾン・プライム会員なのでさらなる割引がありました。

新型コロナウイルス蔓延で外食をしていないので、おやつの時間に淹れたてのコーヒーとともにこれを食すのがささやかな楽しみになっています。明日の午後3時が待ち遠しいです。

P.S. ティラミスから見て右の焼きプリンもなかなか美味しいと思います。

2020年8月14日(金) 地元の総合病院の中の様子

健康診断を来週に控えてその検査指標となる血液と尿を採取されるために、地元の病院に行ってきました。まず予約を取って駐車場の車の中で自分の順番を待てるか?と電話で聞いてみたのですが、待たないから大丈夫とのこと。

つまりそのようなシステムは取り入れてない、ということなので直接病院の中に入っていきました。

当たり前ですが入り口ではマスク着用を指示していました。しかしチェックする人はいないので入ろうと思えば着用しないで中に入れます(いいのか?)。

入口横にはソファーがあるのですが、1つしか座れないようにテープが張ってありますが、座ろうと思えば座れます(いいのか?)。

カウチ、写真では光っていますが背もたれの所に「座るな」と書いてあります。

注意書き

壁には3月18日より基本患者しか中に入れないこと、立ち合いが必要な場合も一人までとのことです。少しでも感染を防ぐということでしょう。でもチェックする人はいませんでした(いいのか?)。

壁の注意書き

エレベータでは3人まで、という但し書きがありました。くどいですがチェックする人はいませんでした。

3人の配置については書かれていない

エレベータの注意書き

待合室に入りましたが、幸いだれもいませんでした。時間が良かったのかも知れません。座れる椅子は限定されていましたが、座ろうと思えば座れます。

待合室の様子

受付はアクリル板が張られ、パチンコの換金所のようです。元々あまり窓は開いておらず話す空間は小さいのに、です。

受付の様子

私の場合採血採尿だったので、受付に声をかけることもなくサインアップしドアベルを鳴らすだけでした。するとすぐに中から人(看護師)が出てきて短い一言「First room on the left(左の最初の部屋)」。

そこですぐに採血を受け、次にカップを渡されてトイレに行き採尿しました。これでおしまい。賞味滞在は5分ぐらいでした。

帰りは階段を使い一人だけすれ違いましたが、それだけです。結局病院内で人と会ったのは二人でした。

幸運だったのか、それとも元々この病院の込み具合はこんなものなのかはわかりません。COIVID-19対策はせいぜいこの程度、ぐらいは理解していただけたでしょうか。

サンプルを提出し検査結果は出るんであろうから、あとはテレビ電話とかで医師と結果について話せればいいんですけどね。ここではそれをやっている様子はなく、申し出はありません。来週また行くことになります。

帰りにコストコでガソリンを入れましたが、こんな値段でした。

1ガロン約1.6ドル

ガソリンの値段

ガルフ沖の石油採掘に経済の多くをゆだねるこの州の経済は、まだまだ厳しい気がします。

2020年8月13日(木) 対面授業を始めた高校で早々と閉鎖決定、さて大学は?

今日は午前中に学科レベルのミーティングがありました。今回はMS-Teamsで行ったのですが、これはこれでいいですね。

ただ自分がホストとして会議や授業をしたことがないので、Zoomとの細かい違いはわかりません。今学期もメインはリモートでの授業なので、両方試してみようかなと考えます。

今日自動車の保険(Geico)を更新したのですが、宣言されていた通り保険料が割引されていました。私の場合割合的には8%の割引でした。

3月のロックダウン以降、経済が部分的に再開しても必要な時以外でかけていませんから走行距離は激減しています。本来この保険は掛け捨てと認識しているので保険料が割引になることを期待していませんでしたが、有り難い処置です。

各州で対人による授業を再開しているところがありますが、残念ながらというか予想通りというかすぐに「一時的」に閉鎖しています。

ジョージア州の高校

Late to shut down, first to reopen, Georgia reports its highest daily death toll

(閉鎖を最後まで行わず、最初に開けたジュージア州が毎日の新規犠牲者で最高値を報告)

ルイジアナ州の高校

Episcopal halts some in-person classes as more than 1/4 of Upper School students quarantined

(エピスコパルは上級生の4分の1以上が隔離されたため対面授業を中止した)

どちらも今後はオンラインにする、のではなく2週間おやすみにしてその後対面授業を再開するということです。まぁ同じことを繰り返さなくてすむことを祈るのみです。

ルイジアナに関していうと1日の感染者数は減っている傾向に見えます。一方で死亡者は確実に増えている状況です。

ルイジアナ州新規感染者数推移(ニューヨークタイムズより)

ルイジアナの感染者データ

ルイジアナ州新規犠牲者数推移(ニューヨークタイムズより)

ルイジアナの死亡者データ

感染者と犠牲者の推移にはタイムラグがある、というのが通説なのでこの状況は不思議に思いません。ただ疑心暗鬼になるのは本当に新規感染者が減っているかどうかです。

以下は私が色々と人から聞いた話なので「あくまでも推測」の域を超えませんが、興味ある方はお読み下さい。

実は7月終盤から極端に検査する数そのものが減っています。これは事実です。

ルイジアナ州全体

ルイジアナ州全体の検査数

うちの郡が属するregion 4

Region 4の検査数

問題はなぜ減ったかですが大学関係者や学生に聞くと、政府の援助が切れて無料でテストを受ける場所がその時期から減り、「罹ったかな」と思ってもテストを受けに行かなくなったからとのこと。皆とは言いませんが、無料のときにはパーティをして数日後に検査に行き、陰性だったらまた安心して翌週遊びやパーティに出かける、といったことを繰り返していた学生が少なからずいる、という話でした。

それが今じゃ無料じゃないからテストを受けず、家で休んでいるだけ、らしいです。噂レベルの話で感染者総数にどれだけ影響を与えているかわかりませんが、0ではないことは確かでしょう。

事実、新規感染者数の減少ほど陽性率は変わっていません。8月に入っても州レベル(10~11%)、うちの郡(13~14%)ともに相変わらず10%を超えたままで、経済再開するにあたって指針とされている5%以下とは程遠い状態です(上の図の薄緑色の棒グラフ、少し太い横線が10%のライン)。

大学と比べて人数が一桁も二桁も少ない高校で上の記事のような状態が起こりえますから、大学が開いた場合(うちの大学の場合は総数で2万人程度です)どうなるんでしょうか?

来週の月曜日から授業が始まるのでうちの大学でもヒトを使った新型コロナウイルスに対する壮大な実験が始まります。せめて大学は正直な数字を一般に公表してくれることを希望します。

2020年8月12日(水) 7月は少しお肉の値段が下がりました

正式に今日から新学期の仕事が始まりました。朝学部レベルのミーティングがありましたが、新型コロナウイルス感染による合併症で大学職員が一人亡くなったそうです。

感染者も複数いて今日も隔離されている、とのことですが具体的な学部、数は伏せたままでした。自分の感染が分かった場合、どこに連絡するかはわかりましたが、自己責任なので都合の悪い場合は伝えないでしょうね。

大学側として数字を公表するかどうかは学部長曰く知らない、とのこと。そうですか、しか言いようがありません。

今日から新入生が入寮を始めたようです。ニュースになっていました。

Parents and students adjust to college move-in day changes amid the pandemic

ご両親は心配でしょうね。どういった形であれ3月中旬以来初めて、またここに多数の学生が戻ってくるようです。

暗い話ばかりしても意気消沈してしまうので、明るい話を。ようやくお肉の値段が下がり始めたとか。

Meat prices are finally falling — except for hot dogs
(お肉の値段がやっと下がり始めたーただしホットドッグを除く)

先月は4月以降初めて食品の値段が1.1%下がったそうです。6月から7月にかけて牛肉と子牛肉の価格は8.2%低下、未調理の牛肉のローストとステーキは8.7%安くなったそうです。

同様に豚肉は3.2%下落、ハムとポークチョップは5.7%、鶏肉は2.6%安くなったそうです。この状況下で生産ラインを維持されている方々に感謝です。

2020年8月11日(火) ルイジアナ州内でも新型コロナウイルスへの行動様式は異なる

予想された通りBig 10及びPac-12は秋シーズンのスポーツの延期を決定しました。

The Big Ten and Pac-12 conferences won't play football this fall

願わくば春にフットボールが出来れば、と言っていますが実質キャンセルになるんでしょうね。Big 10にはミシガン大学やオハイオ州立大学、Pac-12はオレゴン大とか南カルフォルニア大などが所属しますから、大きな収入を犠牲にしてもこの決定を下したわけです。

他の5大カンファレンスであるSEC(LSUとかアラバマ大などが所属)やBig-12(オクラホマとかテキサス大などが所属)、ACC(クレムゾン大やマイアミ大などが所属)は今のところやるようです。地図見ればわかりますがほとんどが南部、選挙で見れば真っ赤に染まる州の大学なんですよね。

フットボールが盛ん、ということもありますが、政治の影響があるのか、ないのか。

ルイジアナのメインな新聞であるThe Advocateは、ルイジアナが第二波で一時的な集団免疫を獲得したなかなかの証拠がある、という記事を出しています。そのソースが一個人のデータサイエンティストのブログなので、希望に満ちただけの記事です。

Jeff Asher: Plateau in Louisiana cases may stem from masks, distancing, 'temporary herd immunity'

結局信じるものは救われる、という南部らしい考え方です。個人的にはもうLDH(ルイジアナ公衆衛生局)によるデータが信用出来ないので、その数字をやりくりして結論を出しても根拠があるとは思えません。

ただ一つだけ面白い図を見かけました。ニューヨーク・タイムズが行った調査による数字だそうです。

マスクと感染率の関係

マスクと感染率の関係

右に行けば行くほど感染率が高く、上に行けばいくほどマスクを着用したことない、滅多にしないと話をした人の割合だそうです。うちの地域の人々が顕著です。

私がいる郡と隣接する郡が州内でもトップ(ワースト)をひた走る理由が垣間見えます。

2020年8月10日(月) 頂いたトレジョのサニタイザーで自衛策

一昨日MAC(ミッド・アメリカン・カンファレンス)が秋のスポーツをキャンセルもしくは延期をした話をしましたが、今日はマウンテンウェストが同様な判断をしました。

Mountain West Postpones 2020 Fall Sports

ここもいわゆる5大カンファレンスではないですが、大きなカンファレンスの1つであるSECが今日会合を持ったそうです。開幕まで40日あるので、結論を出さずまだ様子をみるとのこと。

一方で別な大きなカンファレンスであるPac-12やBig-10が明日会合をもってどうするか投票するようです。

Big Ten, Pac-12 expected to vote Tuesday on whether to move forward with 2020 college football season

ここでの結果が他のカンファレンスの決定に大きく影響を与えそうな予感がします。

さて私はというと大学に行って仕事しましたが、やっぱり自衛することにします。まずは自分の部屋に自分専用のサニタイザーを置きました。

トレーダージョーズのサニタイザー(ただし頂き物)

サニタイザー

オフィスの前には「Max Occupancy: 1」という張り紙を出し、生徒がむやみに入ってこないようにしました。これは大学側から「(ペーペーの)オフィスは1人まで」という通達があったので素直に従ったまでです。

一方で必要なときにコンタクトをすぐ取れるよう私のメールアドレスやZoomの番号を掲載しておきました。次に自分の部屋にコーヒーメーカーを買って置こうか検討しています。

今までは共有スペースに事務の方がコーヒーを作ってくれてましたが、そこにコピー機やFAX、郵便受けがあることから人が来て蜜になりやすいですし、このご時世飲み物を共用するのもよくなさそうだからです。

まぁ様子を見ながら露骨になりすぎない程度にやる予定です。

2020年8月9日(日) 身近で感じられるコロナウイルス感染

普段立ち寄っていたスタバが先週末急にお店を閉じました。ドライブスルーだけにしたのかな、と思ったらそちらもやっていませんでした。

噂を聞くと店員でコロナウイルス感染者が出たそうです。確かに飲み物を作っている場所は蜜なので、しばらく閉じて消毒、その現場で働いていた人たちの感染有無を確認してから再開になるのでしょうね。

少なくとも今週1週間はお休みでした。

今日メールを開けると、私が多少の預金をしている大学のクレジット・ユニオンから連絡が。そこでも少なくとも従業員の一人が感染し、週明けからしばらく店舗を閉鎖するとのこと。

感染原因が窓口業務だったのか、それともプライベートでのことだったのかまでは分かりませんが、近くにウイルスは存在することだけは実感させてくれます。そういえばすぐ近くにあるステーキ屋さん、テキサス・ロードハウスも従業員に感染者が出て、しばらく閉店していました。

最近再開しましたけど大丈夫かな?

週末にうちの研究所のラボでワクチン研究をやっている先生と話しました。彼女が主に取り組んでいるのはHIVですがAIDSがパンデミックになって37年、いまだにワクチンは完成されていないとのことです。

研究者の間ではあと数年で完成させる、とのことですが一方でこれが現実だ、と言っていました。私には新型コロナウイルスのワクチン早期開発に対して、過度の期待はしないほうがいいと言われた気がしました。

一方でうちの大学のえらい方は呑気なものです。大学を再開し感染者が出た場合、担当教員がどのように上に連絡し判断を待つかなどの話はないままです。

戦う武器は今のところ支給されるというマスク2枚といくつかの場所に設置されたサニタイザーのみです。清掃およびごみ回収以外、定期的な消毒と言う話はまだ聞いていません。

来週教員は徐々に職場に戻るので少しは知らせてくれるのかも知れませんが、3月半ばに閉めてから少なくとも今まで感染した学生、教員、スタッフの数は闇の中のまま。大学側からなんの説明、発表がありません。

12か月契約で一年じゅう普通に働くはずの人たちは一体夏の間仕事をしたのでしょうか?上のお店のようにむしろ正直に公開してくれて、閉めては安全確保後、再開してくれる方が安心できるのですが。

夕方散歩しましたが、夕焼けがきれいでした。ウイルス流行以外は何もかも普通なんですけどね。

西の空の夕焼け

2020年8月8日(土) Mid-American Conferenceが秋のスポーツをキャンセル

今まではアイビーリーグなどが秋のスポーツを実質キャンセルしましたが、ディビジョン1(FBS)に属するカンファレンスで初めてキャンセルを決定しました。

MAC postpones all fall sports, including football; plans on spring season

確かにFBSのカンファレンスと言ってもTVに毎週出てくるような5大カンファレンスではないですが、それでも1部は1部です。州の初めてにコネティカット大が活動を見送りましたが、全体で決めた初めてのケースとなりました。

コーチたちは「失望(disappointing)」とは言っているもののこの決定を尊重するとも言っています。選手たちはもう少し複雑な心境でしょうけど。

大きな問題としてCOVID-19の対して手順を守るには、小さいカンファレンスでは予算が限られ難しいとのこと。対面式授業もそうですが、しっかり安全を維持していくのなら大変なお金をかけるか、なし崩しに適当になるかのどちらかです。

ましてやフットボールは関連する人数が多いし接触スポーツなので、どうやって選手やスタッフを感染から守るかは非常に難しいはず。万が一有能な選手が感染して病気になるどころか、将来プロになる夢を断つぐらい後遺症が残ったら、チームやカンファレンスが裁判で訴えられることも頭をよぎったのかもしれません。

私の大学も同様な規模の小さなカンファレンスです。開始を少し遅らせたものの、カンファレンス内の試合を8試合、さらにやりたければノン・カンファレンスの試合を4試合まで認めて続行するようです。

夏の練習も先日始まりました。フットボールはかなりのお金が動くだけに(特に南部)キャンセルするのは極めて難しい判断でしょうが、どこも決断の時期が来ているようです。

2020年8月7日(金) 「Asian」と「Asian American」

以前自分のささやかなお小遣い稼ぎのためにMypoints.comをやっている、と書きました。

Mypoints.comでお小遣いを稼ぐ

毎日の目標を達成するためにアンケートに答えているのですが、一つひっかかることがあります。アンケートを答える人の背景を知る質問があるのですが、その選択肢の中でアジア出身は「Asian」としか書かれないんですよね。

アフリカ系はAfrican Americanと書かれ、インド人はNaitive IndianかIndian Americanと区別して書かれるのにです。白人はCaucasianですが定義を見ると「white-skinned; of European origin」となっていて、アメリカ人というよりヨーロッパが源流の白人なのでよさげに聞こえます。

ヨーロッパ出身でない白人がいるかどうかはわかりません。

私は市民権持っていないのでAsianと書かれてもなんとも思わないですが、アメリカで生まれてアメリカで育ったアジア系アメリカ人はどう思うでしょうか。彼らに聞けば間違いなく「アメリカ人」と答えるはずなのに「Asian」と呼ばれることに違和感はないのかなと。

少なくとも自分がそういう立場だったらAsian Americanと呼ばれたいかな、と思います。

「差別」という言葉までには至りませんか、なんかひっかかります。気にしすぎですかね。

当事者に一度意見を聞いてみたいところです。

2020年8月6日(木) 早すぎたロックダウン解除により一人負けするアメリカ

今日は恥ずかしいことをしてしまいました。まだ木曜日だったのですがすっかり金曜日と勘違いし、夕方から夜に送ったメールで「よい週末を」と書いて何通か送ってしまいました。

まるで金曜日に働かない人みたいです。穴があったら入りたい。

またコロナウイルスの話で申し訳ないですが、全米3位の大きさであるイリノイ州シカゴの学校も方針を変更し、秋は遠隔で授業を提供し始めることになりました。

Chicago Public Schools to Begin School Year With Full Remote Learning

これですでに遠隔での授業開始を決めているロス・アンジェルスやマイアミ、ワシントンDC、そしてここからすぐ近くのヒューストンの仲間入りをしたことになります。注目はまだ態度を決定していないニューヨークです。

新規感染者数、陽性率も低く推移している(1%前後)ため、ニューヨークの教育委員会としては9月より部分的に学校を再開出来ると考えている様子です。

Can N.Y.C. Reopen Schools? The Whole Country Is Watching

ただ州知事と市長にも認識というか考え方の違いがあるようで、人筋縄に行きそうにもありません。ただ後者の人ですら陽性率が3%を超えたらまた閉鎖しないと、と考えているようです。

もっともルイジアナは7月末現在でその数字はいまだ16~17%ぐらいなんですけどね。全く変更する様子はありません。どこかの学校(K-12)は今日からフルで対面式授業を開始した、と聞いています。

私的には経済の重要性を否定するつもりは全くありません。基本ロックダウンも出来れば避けてもらいたいな、と思います。

ただアメリカの問題の本質を是正することなしに、学校を開くことは反対します。以下の記事にも書いてありますが、まずはうまくいってない現状を省みて、限りある予算の中で一人一人が責任をもってどう対応していくか、コミットメントすることの方が優先すべきことです。

America stands alone

ロックダウン解除前、解除時の100万人あたりの新規感染者数(ニューヨークタイムズより)

新規感染者数

2020年8月5日(水) 学校開けたとき誰が消毒する作業を行う?

人口比辺りで感染者数総合トップ、さらにここ1週間平均でもトップをひた走り、それによる犠牲者も増加中で全体6位まで上がってきたルイジアナ州ですが、昨日知事はいい方向に向かいつつあるとし、経済再開のフェーズ2をさらに21日間継続することを決定する発表をしました。

Gov. Edwards: Phase II restrictions to continue for another 21 days

案の定、昨日大量のバッグログを出した統計には全く触れず、その前のデータを利用して現状を説明していました。タイミングが悪かったのか、意図的だったのでしょうか。

それに対し、ここラフィエット郡の公立校(小学校から高校まで)は授業開始をさらに2週間遅らせて9月8日になることを発表しました。

LPSS makes decision to delay the start of school

先生は今日5日から学校に来てトレーニングなどを受けないといけないそうですが、実際何のトレーニングなんですかね?大学もそうですが、消毒剤を設置したからって誰が毎回消毒を行うのでしょうか?

ラボでよくある話ですが、自分で実験したあと全く片さない生徒が少なからずいます。次の日注意すると「(片さなきゃいけないなんて)知らなかった(I didn't know it)」と大学院生でも平気で抜かすのがアメリカ人ですから、消毒剤や消毒ワイプがあっても自分の手などに使う以外は清掃など絶対やらないのが目に見えています。

特に公共の場なんてするわけありません。そうなると取り決めをして、誰かがやる必要があります。でもこれって先生がやることですか?それとも業者を数時間おきに入れるのでしょうか?疑問です。

実際、先生と生徒の親がラフィエット郡の教育委員会と話し合いの場を持ったそうですが、遅らせたところで解決になるのか、安全を保つために消毒や清掃は誰がやるのか、などが議論に上がったそうです。

Teachers and parents left with more questions after LPSS panel discussion

親はこんな風に意見を言っています。

"Put on paper it looks good but I would encourage the school board to do a practice run with that if that is what they are serious about going with actually see how that will work,"
(消毒することを紙に書いておくのは結構ですが、教育委員会がそれを実践することを真剣に考えているのならば、それがどのように機能するか実際に確認するためにそれに沿って練習することを勧めます。)

想像した通りで、子供ではなさそうです、やっぱり。教育委員会側はどのように応答したか聞いてみたいものです。

2020年8月4日(火) ルイジアナ感染者数またバックログ

今日のルイジアナ州公衆衛生局からの統計を聞いて正直怒りを超えて呆れました。また5月末まで戻るバックログが発生し、ラフィエット郡の感染増加数が857という発表だったのです。

COVID-19: State update - 124,461 coronavirus cases, 3,937 deaths

経済再開の目安としていた統計が全く信じられないものとなりました。現時点の感染者総数で7,280人ですが、バックログの数は728となっているのでちょうど1割数字を含めていなかったわけです。

この78%は7月のものらしいですから、ざっくり30で割ると毎日24人は少なく見積もってもサバ読んでいたわけです。以前にも何度もバックログはありましたが、これだけ大きな数が報告されてなかったとなると他にもまだあると考えた方が良さそうです。。

つまるところ発表しているルイジアナの数字は適当としか言いようがありません。これがなくても人口比で感染者数全米ワースト1でしたから、実際はもっと酷いんでしょうね。

押忍。この適当さに食いつくマスコミが全くないのが不思議でなりません。

未だにマスクをしない人を見かけますが、運動時でも息を吸いやすいマスクが紹介されていました。

10 breathable face masks to protect you while exercising

マスクも段々高級品になってきました。それでもしない人はしません。

そんなに元気があるのならワクチンの被験者になってはもらえないでしょうか?ルイジアナだとバトンルージュのMeridian Clinical Researchでやっているそうですから。

A Study to Evaluate Efficacy, Safety, and Immunogenicity of mRNA-1273 Vaccine in Adults Aged 18 Years and Older to Prevent COVID-19

2020年8月3日(月) 大学再開に向けて少しずつ対策が進んでた

今日から私が在籍する大学は大学再開のフェーズ2に入ったそうです。実際には多くのオフィスが部分的に開くそうですが、完全に開いていても反応の鈍いところは多々あるのであまり変化はないのかなと思います。

授業のシラバス(計画書)にはこの文言を入れて下さい、という案内も来ました。これは大学を通じて共通のポリシーのはずなので、これは有り難く使うことにします。

最後に生徒が試験監督のもとテストだけは大学で受けてもらう手はずが整えられつつあるそうです。大きな会場を用意し、専任のスタッフをつけるとのこと。

オンラインで試験をやって得してたのは勉強しない生徒で、真面目にやっていた生徒が損をしていたので、これは大変いい取り組みだと思います。今のままではただのdiploma mill(お金と引き換えに学位を提供するところ)でしたから。

大学のオフィスに行くと、多少変化がありました。前回講堂はまだ何もしてない、と書きましたが、以下のようになっていました。

何かが貼ってありました

大学の講堂

なんて書いてあるのかなと持って見ると、以下のような文言でした。

ソーシャルディスタンスを保つため、この席は開けて下さい。

文言

ただ講堂は入り口が2つしかないありません。人数を減らしても一斉に入ってくると混雑になります。

これも教員が人員整理しないといけないんでしょうかね。

2020年8月2日(日) セブン&アイHD、ガソリンスタンド「Speedway」を買収

結果から言うと、クルードラゴンは無事地球に戻ってきました。

NASAからの映像は長いので短めのもの


大気圏突入後通信が回復してから着水までの様子が見れます。途中パラシュートが2つ開き、その後4つになって速度を低下させて下降する様子がわかります。

結局予定通りフロリダ州のペンサコーラ沖に着水したあと、乗務員はヘリコプター、飛行機を乗り継いでテキサス州ヒューストン郊外にある宇宙センターに戻って記者会見までしています。飛行機から階段で降りる時は自分で歩いていましたし、記者会見も普通に話をしていて元気そうでした。

めでたし、めでたしです。

さて今日の大きな話題は日本のセブン&アイ・ホールディングスがマラソン社傘下のSpeedwayを買収したことです。

7-Eleven Owner to Buy Marathon’s Speedway for $21 Billion

探すと日本語でもヤフーで記事になっていました。

セブン&アイ、米コンビニ「スピードウェイ」2・2兆円で買収へ…米での事業拡大狙う

ただ日本語の感覚は少しおかしい気がします。「ガソリンスタンド併設のコンビニエンスストア」を買収したのではなく、「コンビニエンスストア併設のガソリンスタンド」を買収したんだと思います。

アメリカの場合、確かにセブンイレブンだとガソリンスタンドを必ずしも併設しないコンビニ店が存在しますが、スピードウェイの場合ありません。そもそもこちらではガソリンスタンドにあるお店、という形態が圧倒的に多いです。

実際英語では「ガソリンスタンドを買収」って書いてありますしね。3年前にSunocoというガソリンスタンドを買収したので、これでかなりの市場規模になるでしょう。

セブンイレブンはこの辺りにありませんが、SunocoやSpeedwayはルイジアナにも店舗あります。従業員の質にもよりますが、安全できれいなトイレを提供してください。それだけでお客が入るはずです。

願わくばおにぎりとか菓子パン売ってくれないかなぁ。そしたら毎日そのガソリンスタンドに立ち寄るんですが。

2020年8月1日(土) ISSを離れクルー・ドラゴンが地球へ

天候の心配はあったものの、クルー・ドラゴンの乗務員は国際宇宙ステーション(ISS)を予定通りに離れて地球に向かったようです。やはり中継はありました。


ライブではなく後で私も確認したのですが、実際にクルー・ドラゴンがISSを離れるには2時間19分を過ぎたあたりです。お急ぎの方はそこまで飛んでから観た方がいいです。

ISS側から宇宙船が徐々に遠ざかっていくシーンはSFというかCGにも見えるのですが、現代の技術だと本物の絵なんですよね。感心しました。

ISSから離れたばかりのクルー・ドラゴン

クルードラゴン

恐らく離れていくクルー・ドラゴンから見えるISS(字幕を日本語に設定してみました)

クルードラゴンから見えるISS

デパーチャー・バーン#1が点火(約21秒間)

点火シーン

実際はISSの軌道から離れて、地球の重力によって落っこちていく過程に行くのかと思います。乗務員、そしてクルー・ドラゴンそのものが無事に地球に戻ってくることを祈って寝る事にします。

NASA-SpaceX mission: Astronauts begin 19-hour journey home on historic Crew Dragon mission

< 過去 INDEX 未来 >